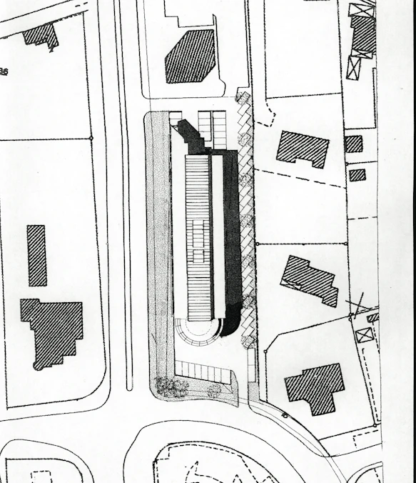
Posté à la sortie de la ZIRST de Meylan, le terrain d'implantation des bureaux de la société METROLOGIC est extraordinairement bien placé de part la vitrine qu'il présente sur son environnement.
L'implantation et la forme du bâtiment, dans le respect des règles du POS, se fait suivant l'axe nord-sud. La logique de calage sur la parcelle est elle plus volontaire, elle résulte de trois volontés fortes : Entrée principale au sud, simplicité et structuration à l'ouest, lisibilité et " confidentialité " au nord.
Le plan linéaire est composé de deux ailes latérales et d'un axe central. L'espace central, généré par les volumes latéraux, est dédié à l'implantation des locaux communs, mais permet également de créer des volumes de plus grande hauteur nécessaire à l'activité de l'entreprise et recevoir les espaces nobles tel que le hall d'entrée ou le patio. En périphérie de l'espace central, une double circulation distribue l'ensemble du plan. Nous obtenons ainsi une grande flexibilité dans la répartition des services .








